
目次
整形外科専門

【専門診療】中津 院長
【担当科目】総合診療科・神経科・腫瘍科・整形外科
骨折とはどのような状態か
骨折とは、骨に強い外力が加わることで骨の連続性が失われた状態を指します。完全に折れてしまう場合だけでなく、ひびが入る程度の不完全骨折も含まれます。犬猫さんでは人と異なり、体重が軽くても高所からの落下や交通事故などにより重度の骨折を起こすことがあります。
また、成長期の若齢動物や高齢動物では、骨の性質が異なるため、同じ衝撃でも骨折の仕方が大きく変わる点が特徴です。
犬や猫で骨折が起こる主な原因
犬猫の骨折原因は以下が代表的です。
- 高い場所からの落下(猫さんのベランダ事故など)
- 交通事故
- 他の動物との接触や咬傷
- 抱っこ中の落下
- ソファや階段からの転落
- 成長期における軽微な外力
- 踏んでしまう
特に猫さんでは「高層階からの落下」による多発外傷の一部として骨折が見られることが多く、犬さんでは小型犬の骨の細さが骨折リスクを高めています。
骨折しやすい部位と特徴
犬さんや猫さんで多い骨折部位は以下です。
・橈骨、尺骨(前足)

・大腿骨、脛骨

・骨盤

・下顎骨

小型犬では前足の橈骨骨折が非常に多く、わずかな段差でも起こることがあります。猫さんでは後肢や骨盤骨折が比較的多く、同時に内臓損傷を伴うケースも少なくありません。
骨折の種類と分類
骨折は状態によりさまざまに分類されます。
・完全骨折
骨が完全に折れて、骨の連続性がはっきり断たれている状態です。ズレが大きいことも多く、強い痛みや変形が出やすいです。
・不完全骨折
骨が途中まで割れたり、ひびが入った状態です。外見上の変形が目立たないこともあり、痛みや跛行だけがサインになる場合があります。
・単純骨折
骨が比較的きれいに1本(または2つ)に折れている骨折です。骨片の数が少なく、整復や固定が比較的しやすい傾向があります。
・粉砕骨折
骨が3つ以上の複数の骨片に割れている骨折です。外力が強い時に起こりやすく、安定した固定が難しく治療が複雑になりがちです。
・開放骨折(皮膚が破れている)
骨折部位の皮膚が傷つき、骨や組織が外と交通している状態です。感染リスクが高く、緊急性が上がります。
・閉鎖骨折
骨は折れているが皮膚は破れておらず、外と交通していない状態です。開放骨折より感染リスクは低いですが、内部の損傷は重いこともあります。
・成長板骨折
骨の端にある成長板(骨が伸びる部分)に起こる骨折で、若い犬猫に多いです。治り方によっては骨の変形や左右差が残ることがあるため注意が必要です。
特に成長板骨折は若齢動物に特有で、適切な治療を行わないと将来的な脚の変形につながることがあります。
骨折時に見られる症状
骨折の際に多く見られる症状には以下があります。
・突然足を着かなくなる
・強い痛みで鳴く、触られるのを嫌がる
・患部の腫れや変形
・異常な方向への曲がり
・元気消失、食欲低下
明らかな変形がなくても、痛みだけが強く出るケースもあり、外見だけで判断することは危険です。
応急対応とやってはいけないこと
骨折が疑われる場合、自宅での対応は非常に重要です。
行うべきこと
・できるだけ動かさない
・タオルやクッションで安静を保つ
・速やかに動物病院へ連絡する
避けるべきこと
・無理に触る、動かす
・自己判断で固定する
・人用の鎮痛剤を与える
不適切な処置は、骨や神経、血管の損傷を悪化させる可能性があります。
動物病院で行う検査
主な検査はレントゲン検査です。骨折部位や骨片のズレ、粉砕の程度を評価します。必要に応じて以下の検査が行われます。
・複数方向からのレントゲン
・CT検査
・血液検査
特に交通事故や高所落下では、骨折以外の内臓損傷の評価が非常に重要になります。
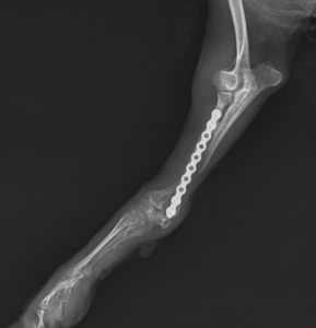
骨折の治療方法
治療法は骨折の種類、部位、年齢、体重、性格などを総合的に判断して決定します。
・外固定(ギプス、包帯)
・内固定(プレート、ピン、スクリュー)

・創外固定
軽度の骨折では外固定のみで治癒することもありますが、多くの場合、安定した治癒を目指して手術が選択されます。
手術が必要になるケース
以下の場合は手術が強く推奨されます。
・骨のズレが大きい
・粉砕骨折
・関節を含む骨折
・成長板骨折
・小型犬の前足骨折
適切な手術により、痛みの早期軽減と機能回復が期待できます。
治療期間と予後
骨の治癒には通常1〜3か月程度を要します。若齢動物ほど治癒は早く、高齢動物や代謝性疾患がある場合は時間がかかる傾向があります。
術後は安静管理が極めて重要で、運動制限を守れない場合、再骨折やインプラント破損につながることがあります。
合併症と注意点
骨折治療で注意すべき合併症には以下があります。
・感染
・癒合不全
・変形治癒
・関節可動域制限
術後の定期検診と画像評価が予後を大きく左右します。
骨折を予防するために
骨折予防には日常環境の整備が重要です。
・滑りにくい床材
・高所からの落下防止
・抱っこの仕方の見直し
・適正体重の維持
特に小型犬や若齢猫では、生活環境の工夫が最大の予防策になります。
まとめ
犬猫さんの骨折は突然起こり、飼い主さんにとって大きな不安を伴う出来事です。しかし、適切な初期対応と正確な診断、そして動物の状態に合った治療を行うことで、多くのケースで良好な回復が期待できます。
少しでも歩き方がおかしい、痛がっていると感じた場合には、早めに動物病院へ相談することが何より大切です。
ハグウェル動物総合病院 横浜鶴ヶ峰院の体制
セカンドオピニオン設置
痛みや跛行などの整形外科疾患の症状に対して迅速な対応を行います。
必要な検査として身体検査による触診、レントゲン検査、血液検査、CT検査等を実施して、原因を特定し適切な治療を行います。
特に「足を挙げる」「歩様状態の異常」「外傷による骨折」などのケースでは、的確な診断と治療が非常に重要です。
また、専門診療の整形外科(岩田 宗俊 獣医師)を設けているため、セカンドオピニオン、さらには繰り返す跛行など、治りが悪い症状の受け入れを行っております。
横浜市から川崎・大和エリアまで、地域の皆さまの“かかりつけ”として、安心の獣医療をお届けします。
ご予約・ご相談はお気軽に!
LINE・お電話(045-442-4370)・受付(動物病院総合受付)にて承ります♪

